Super-Taifun Ragasa: China schließt Schulen und Büros

Zusammenfassung
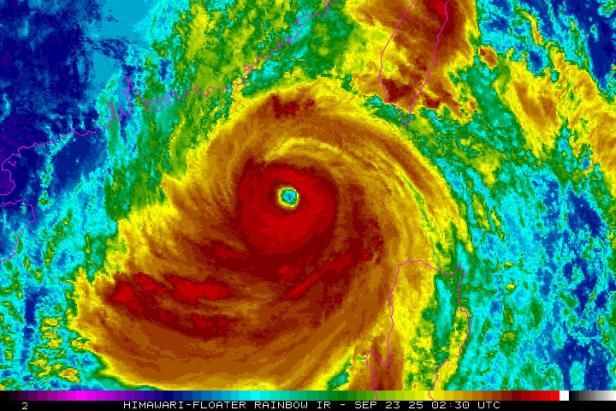
- Taifun Ragasa bringt Windböen bis zu 265 km/h, führt zu Flughafenschließungen, Unterrichtsausfall und Evakuierungen in Hongkong, den Philippinen und Taiwan.
- Supermärkte sind überfüllt, Produkte wie Milch ausverkauft, Preise für Gemüse steigen stark an, Notfallkräfte stehen bereit.
- In mehreren Regionen gelten Sturmwarnungen, Flüge werden gestrichen, Behörden warnen vor lebensbedrohlichen Bedingungen und schweren Schäden.
Angesichts des nahenden Super-Taifuns Ragasa haben die chinesischen Behörden am Dienstag die Schließung von Schulen und Büros in mindestens zehn Städten angeordnet.
"Mit Ausnahme von Rettungskräften und Personen, die die Grundversorgung der Bevölkerung sicherstellen, sollten Sie das Haus bitte nur verlassen, wenn es unbedingt notwendig ist", erklärte die Katastrophenschutzbehörde der Metropole Shenzhen.
Ragasa war am Montag auf den Philippinen auf Land getroffen. Im Zentrum des Sturms wurden am Nachmittag Windgeschwindigkeiten von 215 Stundenkilometern mit Böen von bis zu 295 Stundenkilometern gemessen. Auch im benachbarten Taiwan und in Hongkong warnten die Behörden eindringlich vor dem Wirbelsturm.
Keine Arbeit, kein Unterricht, Flüge gestrichen
Auf den Philippinen wurden am Montag die Arbeit und der Unterricht in der Hauptstadt Manila und weiten Teilen des Landes eingestellt. Mindestens 16 Inlands- und internationale Flüge wurden bereits gestrichen. Alle Notfallkräfte waren in Alarmbereitschaft.
Super-Taifune gehören zu den stärksten und gefährlichsten tropischen Wirbelstürmen. Die Philippinen werden jedes Jahr von durchschnittlich etwa 20 Taifunen heimgesucht. Der besonders schlimme Sturm "Haiyan" hatte im November 2013 mehr als 6.300 Menschen das Leben gekostet.

Auch in Taiwan tobte der Taifun. Laut Angaben der Wetterbehörde waren vor allem die Ostküste und die Südspitze der Inselrepublik von Sturm, Regen und meterhohem Wellengang betroffen.
Der Katastrophenschutz evakuierte vorsorglich Menschen aus 1.800 Haushalten. Ein Stausee in der osttaiwanischen Gemeinde Hualien drohte demnach überzulaufen. Zudem fielen Schiffsverbindungen und Dutzende Flüge aus.
Milch ausverkauft
Die Einwohner von Hongkong trafen ebenfalls Vorkehrungen für den Taifun. Vor Supermärkten bildeten sich lange Schlangen, in denen Produkte wie Milch bereits ausverkauft waren. Auf Märkten wurde für Gemüse mehr als das Dreifache des normalen Preises verlangt.
Kommentare